Apuntes de Geología

volver al menu de inicio

Galería de Imagenes

Fuentes de imágenes

Enlaces

Interés general

Autor

 

Tectónica de Placas - volcanismo relacionado

Aparte del volcanismo directamente causado por procesos de movimientos de placas tectonicas (limites divergentes y convergentes, váese para mayor detalle los respectivos capítulos de esta página) existe un tercer tipo de volcanismo conocido como "hot spot" (puntos calientes).

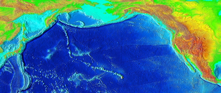
Estos hot spot corresponden a numerosos lugares en todo el mundo, donde ascienden burbujas de magma desde el límite manto-núcleo hacía la superficie. La placa tectónica se mueve sobre la fuente de magma (que a su vez es estática), resultando en una cadena de volcanes. Dado que este tipo de volcanismo no es un resultado de los movimientos de placas tectónicas, se puede encontrar en cualquier parte, incluso en el centro de una placa tectónica, lejos de todos los límites de las placas. El ejemplo más conocido de este tipo de volcanismo es la cadena de las islas de Hawaii, incluyendo una cadena de cerros submarinos asociados. Estos representan los restos de volcanes inactivos desde hace millones de años, que sufrieron los efectos de la erosión desde entonces.

La existencia de los puntos calientes y sus efectos son otra evidencia más para los movimientos de la placas tectónicas.

(28)

Ubicación del arquipíelago de Hawaii en el centro de la placa tectónica del pacífico

(27) Movimiento de la placa del pacífico sobre el hot spot de Hawaii
(65) Movimiento de la placa del pacífico sobre el hot spot de Hawaii

arriba
www.joachim.cl/geologia
Inicio